手機看文章
摘要:本周0352房網·壹周樓市(2020.12.21-2020.12.27),從樓市動態、工程進度、城建規劃、土地市場等方面,為大家網羅過去一周的大同樓市熱點!
一、樓市動態
12月21日,星港御瀾灣“老友新鄰”N+1活動開啟。

12月25日,瑞湖·云山府營銷中心盛大開放。

實景圖
12月26日,碧桂園·鳳棲臺購買指定房源送家電禮包。

二、400來電排行
400電話來電量排名:
瑞湖·云山府
開源·金懋府
月亮灣·灣
四季
以上五個樓盤是上周400來電量的前五名樓盤。瑞湖·云山府營銷中心于近日正式開放,大量網友前往了解,人氣較高,來電量排行第一;開源·金懋府將于近期開盤,網友關注較多,來電量排行第二;月亮灣·灣年末鉅惠活動較多,來電量排行第三;楓林逸景香荔園盛大交房,現房銷售備受關注,來電量排行第四;四季樓王熱銷,來電量排行第五。
三、工程進度

實景圖
截止至12月26日,楓林逸景紫御府二次結構收尾工作中。

實景圖
截止至12月27日,華宇百花谷二次結構施工中。

實景圖
四、城建規劃
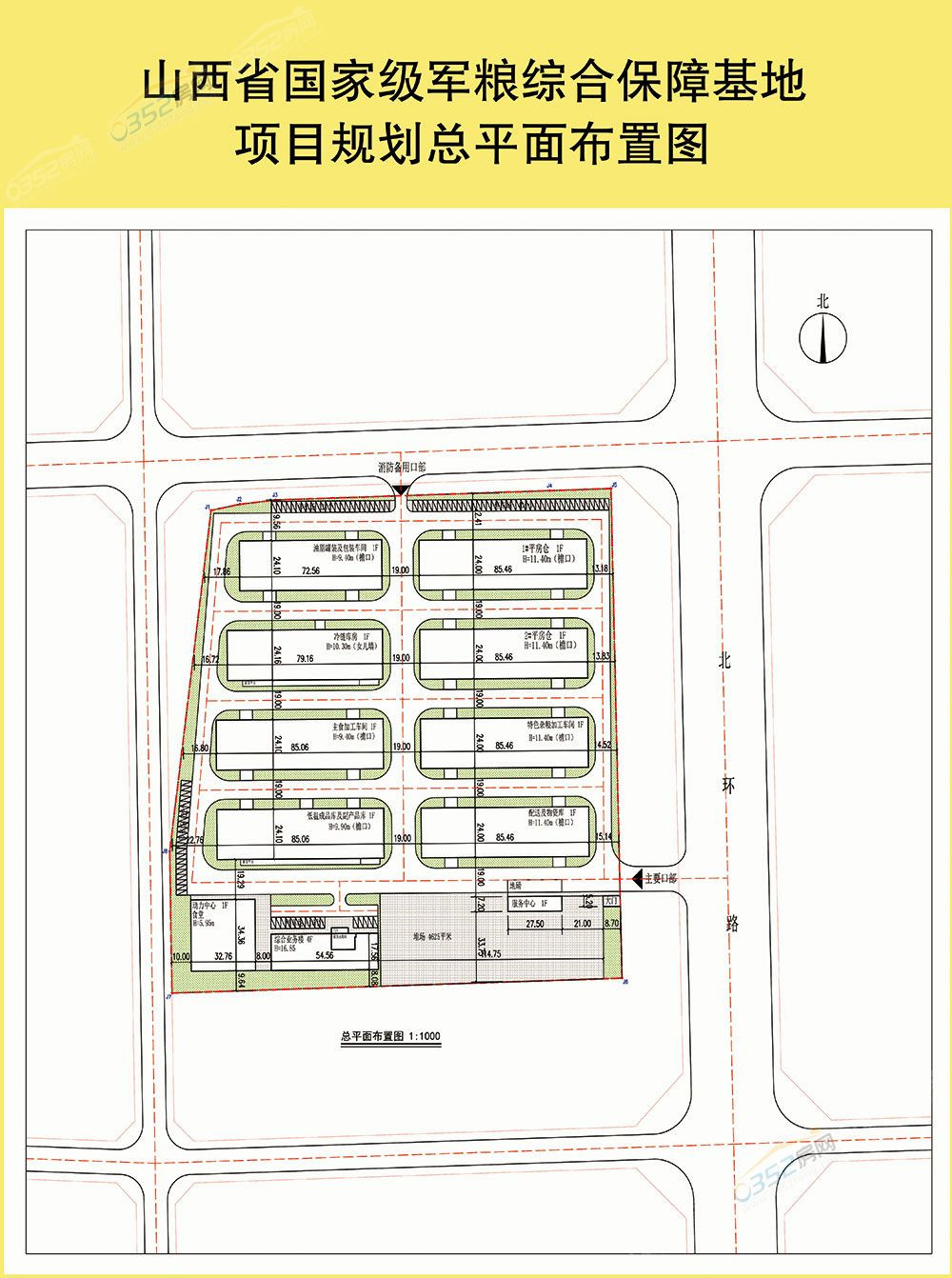
大同新增國家級項目 建設項目規劃已公示!
內容:為了落實國家糧食局、財政部、軍委后勤保障部展開的“軍民融合軍糧供應工程”,大同將新增一國家級項目—山西省國家級軍糧綜合保障基地,目前該項目建設規劃許可已公示。



古城新增商業項目—清遠小院 項目規劃已公示
內容:大同古城新增商業項目—清遠小院,將為大同古城帶來新鮮的商業血液,目前該建設項目規劃許可已公示,詳情如下。


五、土地市場
11197萬元!12月25日大同兩宗地塊成功出讓!
內容:2020年12月25日,大同市規劃和自然資源局對柳鶯路東側的一宗居住用地及古城內小皮巷西側的一宗商業用地進行拍賣,拍賣結果已經新鮮出爐,詳細情況如下:


折合130萬/畝!御河西路一宗居住用地成交!
內容:2020年12月23日,大同市平城區自然資源局公開出讓一宗居住用地,宗地編號為平2020-16御河西路東側、聯絡線一南側地塊,成交總價為8232.9萬元,折合130萬/畝。


六、全國樓市
中央經濟工作會議連續三年提房住不炒,大城市住房問題受關注。據悉,2020年中央經濟工作會議12月16日至18日在北京舉行。會議總結2020年經濟工作,分析當前經濟形勢,并部署了明年經濟工作。
社科院:房價和房租呈現背離走勢 樓市或穩中趨降
23日,中國社科院財經戰略研究院住房大數據項目組發布2020年11月緯房指數與住房市場綜述,并對2021年房價走勢作了預判。
停止“棚改” 三四線城市房價會走向何方!
在很多人眼里,像熱點的二線城市房價真的是高得嚇人,買一套房就是200萬以上,像北上深一線城市,房價更是高達6-700萬。而當地居民的收入只有四五千/月,房價與收入嚴重脫節是肯定存在的。