手機看文章
摘要:市民們注意啦!大同市南郊區采煤沉陷區治理2015年三期S1地塊與S2地塊搬遷工程項目公示已出,詳細情況一起來看看吧!
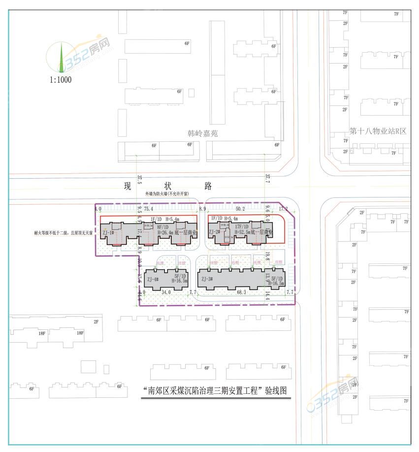
南郊區采煤沉陷區治理2015年三期(S1地塊)搬遷工程項目
項目名稱:南郊區采煤沉陷區治理2015年三期(S1地塊)搬遷工程項目
設計單位:杭州聚源建設設計有限公司
項目位置:大同市云岡區和寧街北側

S1地塊總平圖

S1項目位置

S1地塊綜合技術經濟指標
為加強建設工程的監督管理,維護社會公眾利益。實施陽光規劃,根據城鄉規劃法規的有關規定,現將我局擬批準的“南郊區采煤沉陷區治理2015年二期(S1地塊)搬遷工程項目”規劃審批情況予以公示,如有不同意見,請在七個工作日內及時向我局反映。
規劃監督電話:7982060
上午:9:00-12:00 下午:13:00-17:00
公示時間:2019年11月11日至2019年11月19日
大同市規劃和自然資源局
南郊區采煤沉陷區治理2015年三期(S2地塊)搬遷工程項目
項目名稱:南郊區采煤沉陷區治理2015年三期(S2地塊)搬遷工程項目
建設單位:大同市南郊區經濟建設投資有限公司
設計單位:杭州聚源建設設計有限公司
項目位置:大同市云岡區和寧街北側

S2地塊總平圖

S2項目位置

S2地塊綜合技術經濟指標
日照分析結論

通過平面等時線、立面等時線及窗口日照分析測算,結論如下:項目建設后,北側現狀住宅建筑均滿足大寒日2小時日照規范要求。日照分析結果詳見日照平面等時線圖、立面等時線圖及窗口日照時間報批表。
為加強建設工程的監督管理,維護社會公眾利益。實施陽光規劃,根據城鄉規劃法規的有關規定,現將我局擬批準的“南郊區采煤沉陷區治理2015年二期(S2地塊)搬遷工程項目”規劃審批情況予以公示,如有不同意見,請在七個工作日內及時向我局反映。
規劃監督電話:7982060
上午:9:00-12:00 下午:13:00-17:00
公示時間:2019年11月11日至2019年11月19日
大同市規劃設計院